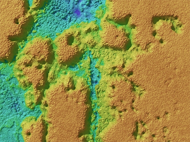
Measurement of road surface wear

The LJ-S8000 Series employs a laser scanning method that is unaffected by ambient light, making it suitable for both product inspection and outdoor data analysis. High-precision 3D data can be easily acquired shortly after installing the system.

3D

2D

3D Laser Snapshot Sensor

LJ-S8000 series

Back to "Product Selection by Industry and Application"